Dysplasie des hanches
Qu'est-ce que la dysplasie de la hanche ?
Il s’agit d’une malformation caractérisée par une incongruence plus ou moins marquée entre la tête du fémur et sa cavité articulaire, associée à un relâchement du ligament qui les unit. Cette anomalie du développement de la hanche entraîne, à terme, une dégénérescence articulaire (coxarthrose) plus ou moins précoce. Elle peut passer inaperçue à la naissance, mais se manifeste au fil de la croissance, période durant laquelle des modifications articulaires apparaissent, pouvant conduire à une coxarthrose douloureuse et handicapante.
Quelle en est la cause ?
Il s'agit d'une maladie dont la cause est multifactorielle : elle est génétique, mais peut être provoquée ou aggravée par des facteurs environnementaux, seulement si l'animal est porteur des gênes de la maladie. L'alimentation (le surpoids du chiot), les exercices violents du chiot (escaliers, glissades) peuvent avoir un rôle à jouer dans le développement de la dysplasie de la hanche.
Quels sont les symptômes de la dysplasie de la hanche ?
- Les manifestations cliniques de la dysplasie de la hanche peuvent survenir précocement. Bien qu’aucun symptôme ne soit propre à cette pathologie, certains signes peuvent être révélateurs, même s’ils ne se manifestent pas toujours en même temps :
- Difficultés à se lever ou à sauter.
- Intolérance à l'effort ou à la montée des escaliers.
- Boiterie plus ou moins marquée d'un ou des deux membres postérieurs après une période de repos.
- Démarche en « saut de lapin » lors de la course.
- Douleur d'intensité variable.
Comment diagnostique-t-on une dysplasie des hanches ?
- Un diagnostic précoce peut être envisagé dès l'âge de 16 semaines et se divise en deux parties
- Clinique : Apparition des premiers symptômes, examen clinique chez votre vétérinaire
- Radiologique : Clichés radiologiques, sous anesthésie générale, sous différents angles
Un AS sous anesthésie générale pour des radiographies
Comment réaliser des radiographies de hanche pour votre Altdeutsche Schäferhunde ?
- Consultez votre vétérinaire :
- Dès que vous suspectez une dysplasie de la hanche, afin d'établir un diagnostic rapidement
- Si vous envisagez de faire reproduire votre animal, à partir de l'âge de 12 mois révolus.
- Les radiographies sont réalisées sous anesthésie générale à la clinique vétérinaire.
- Elles sont ensuite transmises au lecteur officiel de l'UCFAS, conformément au protocole décrit ci-dessous :
- Protocole de radiographies hanches, coudes et VTL (PDF)
- Courrier de demande de lecture (PDF)
- Attestation de contrôle de puce électronique ou tatouage (PDF)
- Un exemplaire des résultats est également adressé au club UCFAS.
- Les résultats officiels vous sont renvoyés après lecture par le vétérinaire référent de l'UCFAS, le Pr. Genevois.
La lecture des clichés permet de classer la dysplasie en cinq stades, de A (absence totale de dysplasie) à E (dysplasie sévère), en incluant les stades intermédiaires B, C et D.
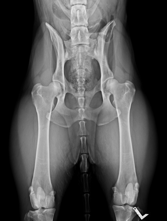
Radiographie des hanches d'un AS
Comment traiter une dysplasie de la hanche ?
Il existe deux grands types de traitement à mettre en œuvre en cas de dysplasie de la hanche. Ces deux types de traitement sont bien évidemment à discuter au cas par cas avec votre vétérinaire, chaque chien étant différent.
- Traitements médicaux : Ce sont les traitements habituels de l'arthrose :
- Antalgiques, anti-inflammatoires.
- Compléments alimentaires retardant le développement de l'arthrose : « chondroprotecteurs ».
- Alimentation équilibrée et poids stable sans excès.
- Exercice physique régulier et adapté (par exemple, la nage).
- Ostéopathie et acupuncture peuvent être des soutiens adaptés.
- Traitements chirurgicaux : Ils ne seront décidés qu'au cas par cas, en fonction du type de dysplasie, de sa sévérité, de la gêne induite et du retentissement sur votre Altdeutsche Schaferhunde. Contactez votre vétérinaire pour plus de renseignements. En cas de chirurgie, celle-ci peut être proposée tôt, le plus précocement possible, dans l'objectif de limiter les atteintes de l'arthrose sur l'articulation. L'objectif d'une telle chirurgie est de diminuer la boiterie et surtout de retarder le développement de l'arthrose au niveau de la hanche.
Comment peut-on prévenir la dysplasie des hanches ?
La dysplasie de la hanche est une affection à forte composante héréditaire. Dans l'optique d'améliorer la race des Altdeutsche Schäferhunde, l'UCFAS recommande une sélection rigoureuse des reproducteurs. Cette démarche, conseillée par le Pr J-P Genevois, n'est véritablement efficace que si elle est appliquée de manière soutenue et sur le long terme. L'amélioration de la race repose donc sur un choix strict des reproducteurs, mâles comme femelles.
- Sélection individuelle : choix des reproducteurs en fonction de leur statut radiologique.
- Sélection généalogique : choix en fonction des informations sur les hanches des parents et des grands-parents des reproducteurs.
- Sélection des collatéraux : se renseigner sur le pourcentage de frères et sœurs de portée ayant des hanches saines.
- Sélection des descendants : information sur l'état des hanches des descendants des reproducteurs issus de portées précédentes (mâles ou femelles).
Il est important de rappeler que, compte tenu de la complexité génétique de la dysplasie de la hanche, il peut arriver, même chez les éleveurs les plus rigoureux, qu'un individu dysplasique apparaisse ponctuellement au sein de lignées considérées comme « saines » depuis plusieurs générations.
Comme le souligne le Pr J-P Genevois : « Plusieurs études ont démontré que seule une politique de dépistage et de contrôle rigoureuse, menée sur le long terme, permet d'obtenir des résultats concrets, même si ces derniers sont lents et progressifs ».
C'est pourquoi l'UCFAS s'est engagée dans une politique de dépistage pertinente et durable pour lutter contre la dysplasie de la hanche.